Belonochilus numenius, nueva plaga en los árboles de Barcelona

Por editora, 14 July, 2015

plaga platanosLos plátanos de Barcelona, los árboles ornamentales más típicos de la ciudad, están afectados por una reciente plaga de Belonochilus numenius, una chinche originaria de EEUU que se alimenta de sus semillas. Aunque no es un peligro de salud pública, este insecto es molesto porque, en su fase adulta alada, entra en las viviendas. La ciudad ha iniciado un tratamiento fitosanitario ya que, en ese hábitat, el insecto no tiene enemigos naturales.

 

Aunque no es nuevo en Barcelona, el Belonochilus numenius no habia estado considerado como plaga en esta ciudad hasta hace unos dias, cuando, tras proliferar de manera inusual, los ciudadanos de diversos barrios alertaron de la presencia de estos insectos en el interior de sus viviendas, en los parques y terrazas.

El insecto en cuestión es una chinche originaria de EEUU, donde se le denomina "chinche del sicomoro" (sycamore seed bug) , que vive y se alimenta en los plátanos ornamentales, un tipo de árbol que adorna y da sombra en numerosas calles y espacios públicos de Barcelona.

plaga platanosLos servicios de Parcs i Jardins ya han iniciado un tratamiento fitosanitario, que se realiza en horario nocturno, para detener el avance de esta nueva plaga en la ciudad, donde carece de enemigos naturales. El insecto no representa ningún riesgo para la salud de las personas y no pica, pero su presencia resulta desagradable en parques, via pública e interior de viviendas.

La presencia de Belonochilus numenius en España fué documentada por primera vez en 2008, en Castelldefels y Barcelona. Desde entonces, se ha advertido su presencia en diversas ciudades, como Tarragona, Huesca, Zaragoza, Valencia, Murcia y Granada.

Sin embargo, hasta el momento la cantidad de población del insecto no daba pie a considerarlo como plaga, una situación que ha cambiado en los últimos días debido probablemente, entre otros factores, a las altas temperaturas registradas, que pueden haber acelerado los ciclos de reproducción del insecto.

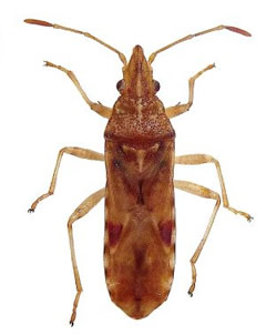
En la fase adulta Belonochilus numenius mide 5 o 6 milimetros, tiene forma ovalada y un color tierra, con líneas rojas marronosas y oscuras. Su cabeza es alargada y presenta dos antenas largas. Pone sus huevos en el interior de la fruta del plátano, donde permanecen durante el invierno, y las ninfas aparecen en abril o mayo, iniciándose un ciclo hasta octubre, durante el cual se suceden tres o cuatro generaciones.

Con temperaturas altas, los ciclos son más rápidos, el insecto se hace adulto antes y aumentan sus posibilidades de supervivencia.
 

Fuente: El pais