La formación de biofilms es un factor clave en la persistencia de Listeria en superficies durante largos períodos de tiempo y la aparición de contaminaciones cruzadas y reincidentes. En el uso de productos químicos desinfectantes en entornos alimentarios, para controlar esta bacteria es fundamental una aplicación correcta de los mismos y poner atención a las dosis mínimas inhibitorias y bactericidas necesarias.
Listeria monocytogenes es capaz de adherirse y formar biofilms en la mayoría de superficies que podemos encontrar en las plantas de procesado de alimentos, lo que multiplica su capacidad de persistir en entornos con condiciones ambientales adversas, y letales para muchos otros microorganismos, como las bajas temperaturas, acidez, salinidad, bajos niveles de oxigeno o la acción de los productos desinfectantes.
Respecto a estos últimos, aunque existen estudios que documentan en determinadas cepas de Listeria resistencia a soluciones limpiadoras y desinfectantes, en el control de la bacteria en la industria alimentaria siguen jugando un papel fundamental los productos químicos desinfectantes. Pero es importante tener en cuenta que la eficiencia de estos productos está directamente relacionada con una aplicación correcta y en las dosis inhibitorias y bactericidas adecuadas.
Situaciones en que se da un uso o concentración incorrectos de los mismos, por ejemplo por no aplicar una dosis suficiente de desinfectante, por una limpieza insuficiente antes de la desinfección o por el almacenamiento inapropiado de los biocidas, pueden tener un efecto negativo de propagación de la bacteria.
Listeria y los desinfectantes
Conocer los efectos de diferentes tipos y concentraciones de desinfectantes sobre la Listeria puede ayudar a optimizar las estrategias de control de este patógeno.
Para ello, un estudio realizado en la Universidad de León, subvencionado por el Ministerio de Economía, Industria y Competitividad, evalua el efecto de diversas concentraciones de dos biocidas utilizados habitualmente en la industria alimentaria sobre la estructura y la viabilidad celular de biofilms formados por cuatro cepas de Listeria monocytogenes sobre poliestireno.
En el estudio se determinan además las concentraciones inhibitorias mínimas (MIC) y las concentraciones bactericidas mínimas (MBC) de estos dos biocidas para cultivos planctónicos de la bacteria. La concentración inhibitoria mínima (MIC) se considera la concentración más baja capaz de prevenir el crecimiento de la bacteria, mientras que la concentración bactericida mínima (MBC) sería la concentración más baja requerida para matar la bacteria.
Para ser útiles contra los biofilms, los desinfectantes deben poseer o actividad bactericida o la capacidad de eliminación de la biopelícula. Los dos biocidas utilizados en el estudio son el hipoclorito de sodio, como representante de los desinfectantes a base de cloro, compuestos oxidantes ampliamente utilizados en la industria alimentaria debido a su amplio espectro antibactericida, su alta eficacia y su bajo coste, y el cloruro de benzalconio, como representante de los compuestos de amonio cuaternario, tensioactivos catiónicos que actúan a través de la ruptura de las capas de la membrana lipídica, y que son efectivos contra diversos microorganismos, especialmente las bacterias Gram-positivas.
En el estudio se estableció una concentración MIC con valores de 3500ppm para el hipoclorito de sodio y de entre 3ppm y 13ppm para el cloruro de benzalconio, mientras que los valores para la concentración bactericida mínima oscilaron entre 3500ppm-4500ppm para el hipoclorito de sodio y entre 3ppm-14ppm para el cloruro de benzalconio. Estas concentraciones son menores a las recomendadas para estos biocidas, con el objetivo de simular condiciones reales en las plantas de procesamiento de alimentos, donde el nivel de exposición a los desinfectantes puede ser bajo y dificil de cuantificar, según el lugar donde se ubiquen las células bacterianas.
Actividad contra el biofilm
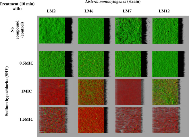
En el estudio se evaluó el efecto de los tratamientos (durante 10 minutos) con hipoclorito de sodio y cloruro de benzalconio sobre biofilms de L.monocytogenes formados en 24 horas. La aplicación de hipoclorito de sodio a 1 o 1.5 MIC y de cloruro de benzalconio a 0.5, 1 o 1.5MIC redujo el número de bacterias vivas en los biofilms (P < 0.05). Esto indica que ambas sustancias tienen propiedades anti-biofilm incluso en concentraciones bajas. Sin embargo, no se consiguió erradicar las células vivas.
Los antimicrobianos aplicados a 0.5MIC redujeron el biovolumen de las biopelículas, mientras que a 1MIC o 1.5MIC (especialmente el cloruro de benzalconio a 1.5MIC) redujeron sustancialmente el biovolumen, la cobertura de la superficie y el espesor máximo de las biopelículas.


El hipoclorito de sodio en concentraciones de 1o 1.5MIC redujo la viabilidad celular en más del 90% en comparación con biofilms no tratados, lo que suguiere que el modo de acción de este biocida sobre la Listeria está principalmente relacionado con el daño en la integridad de la menbrana celular.
Por otra parte, el cloruro de benzalconio fue capaz de eliminar la mayor parte de la masa del biofilm, pero redujo la viabilidad celular en menor medida. Tras el tratamiento, más del 50% de las células en los biofilms eran viables. El biocida consiguió inducir un desprendimiento considerable de células vivas del biofilm, lo que, para los autores, es un resultado preocupante, ya que los fragmentos desprendidos del biofilm podrían colonizar otras superficies y posteriormente contaminar los alimentos. Estos resultados obtenidos pueden ser de utilidad para la optimización de las estrategias de control de L.monocytogenes en la industria alimentaria.
Fuente: Cristina Rodríguez-Melcón, Félix Riesco-Peláez, Camino García-Fernández, Carlos Alonso-Calleja, Rosa Capita, Susceptibility of Listeria monocytogenes planktonic cultures and biofilms to sodium hypochlorite and benzalkonium chloride, Food Microbiology (2019)

Higiene Ambiental Consulting, junto con Ambientalys, hemos desarrollado una formación técnica especializada, con el objetivo de formar acerca de cómo se desarrolla esta bacteria dentro de la industria alimentaria, dar a conocer las estrategias, técnicas y productos para controlarla y aprender a identificar los sistemas de detección y prevención más adecuados.
Esta formación se imparte en modalidad on-line y tiene una duración de 25 horas.
Más información sobre el Curso on-line: Listeria: prevención y control en la industria alimentaria